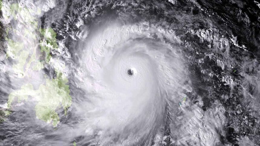
CYCLONE DANA ALERT :- चक्रवाती तूफान ‘दाना’ के असर के चलते छत्तीसगढ़ में मौसम बदला रहेगा। मौसम विभाग ने आज 8 जिलों के लिए यलो अलर्ट जारी किया है। यहां गरज-चमक के साथ बिजली गिरने की आशंका जताई गई है। वहीं अगले तीन दिन 25 से 27 अक्टूबर तक कहीं-कहीं बौछारें पड़ सकती हैं। 25 और 26 अक्टूबर को 40 किमी प्रति घंटे की रफ्तार से हवाएं चल सकती हैं।


बुधवार को मौसम ड्राई रहा। प्रदेश में सबसे ज्यादा गर्म रायपुर रहा यहां अधिकतम तापमान 33.2 डिग्री रहा। वहीं सबसे ठंडा अंबिकापुर रहा यहां न्यूनतम तापमान 15.6 डिग्री दर्ज किया गया। रायपुर, अंबिकापुर, दुर्ग और जगदलपुर में दिन का पारा सामान्य से अधिक रहा।
दाना तूफान के असर से रात का चढ़ेगा पारा
मौसम विभाग के मुताबिक चक्रवाती तूफान ‘दाना’ के असर से रायपुर में आज बादल छाए रहेंगे। कहीं-कहीं तेज हवाएं चल सकती हैं। दोपहर के बाद से दिन के तापमान में कमी आएगी। रात का पारा चढ़ेगा, इससे उमस बढ़ सकती है। अगले चार दिन रायपुर में ऐसा ही मौसम रहेगा। इस दौरान कहीं-कहीं बौछारें पड़ सकती हैं।
रायपुर में बुधवार को दिन का तापमान 33 डिग्री रिकॉर्ड किया गया। रात का पारा 22 के आस-पास था। गुरुवार को दिन के तापमान में गिरावट और रात का तापमान 23 डिग्री तक पहुंच सकता है। आने वाले दो दिनों में दिन का पारा कम होगा और रात का तापमान बढ़ेगा।